Canine unicompartmental elbow-artroplastyka w leczeniu dysplazji stawu łokciowego.
Postępujący proces zwyrodnienia stawu łokciowego w przebiegu dysplazji rozpoczyna się od strony przyśrodkowej stawu.
Osteoartritis przy zaawansowanej chorobie wyrostka wieńcowego w przebiegu dysplazji stawu łokciowego generuje zanik chrząstki przedziału przyśrodkowego stawu. Wzajemny konflikt powierzchni stawowych prowadzi do ich niszczenia, wycierania się, i w efekcie do tzw. end stage form of elbow, powstawaniem odczynów wytwórczych, ograniczeniem ruchomości stawu, silnym bólem i dysfunkcją motoryczną. U zdecydowanej większości pacjentów zmiany zachodzące w tzw. przedziale przyśrodkowym długo nie mają wpływu na zdecydowanie większą część boczna stawu która zachowuje swój status anatomiczny.
Zabieg artroplastyki CUE rozwinięty przez dr. Schulz i dr. Cook przy współpracy z firmą Arthrex jest dedykowany dla pacjentów z MCD (medial compartment disease). Technika została opracowana dla tych pacjentów u których standardowe postępowanie z zastosowaniem artroskopii czy innych form leczenia operacyjnego (osteotomie dystalna, podwójna skośna, PAUL, SHO) z racji zaawansowania procesu nie są wskazane.
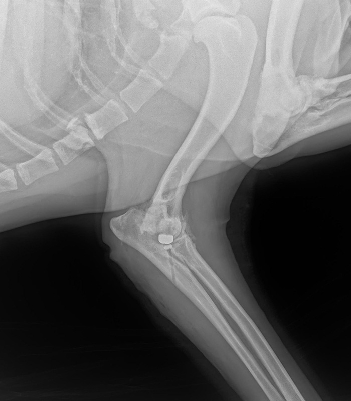
Operacja CUE polega na zainstalowaniu dwóch implantów –w kość ramienną oraz łokciową w miejscu istniejącego konfliktu w stawie. Większy implant dedykowany dla kłykcia kości ramiennej jest zbudowany ze stopu kobaltu chromu i tytanu, mniejszy powstały z mieszanki polietylenu i tytanu umieszczamy w kości łokciowej. Prawidłowo wykonany zabieg prowadzi do odbarczenia niszczonej powierzchni stawowej, a wzajemny stosunek pracy powierzchni powstałej protezy generuje powrót funkcji i prowadzi do zwiększa zakres ruchomości stawu.
Zabieg przeprowadzamy najchętniej w godzinach rannych. Wypisujemy pacjenta jeszcze tego samego dnia. Konieczne będzie podawanie antybiotyków oraz leków przeciwbólowych. Opatrunek zmieniamy po tygodniu, usuwamy ok 3 tygodni od zabiegu. Prosimy o szczególną uwagę i ograniczenie ruchu do 8 tygodni od zabiegu. Proces rehabilitacji rozpoczęty w tym okresie powinien zakończyć się pełnym powrotem funkcji po okresie 5-6 miesięcy.

Strona używa plików cookies do celów funkcjonalnych oraz statystycznych